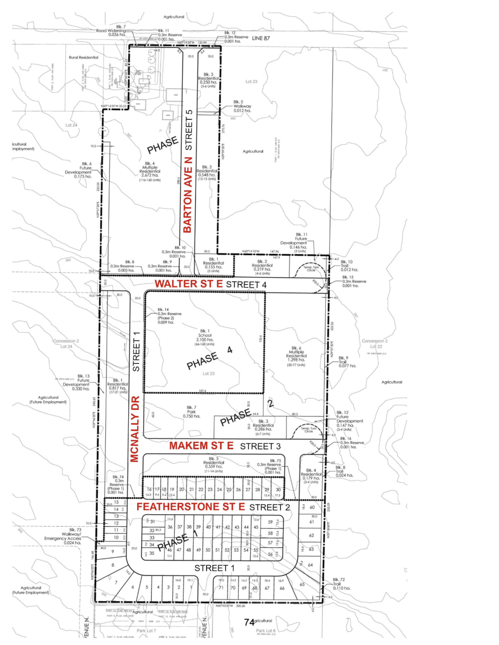
LISTOWEL – Council has approved the five street names in the Countryside Meadows subdivision to be constructed north east of Listowel – one of which is in honour of North Perth Firefighter Raymond Walter who died in the line of duty on March 17, 2011. The Listowel Banner reached out to MAKEM Developments Inc., the…
Council approves new street names, one in honour of Raymond Walter



